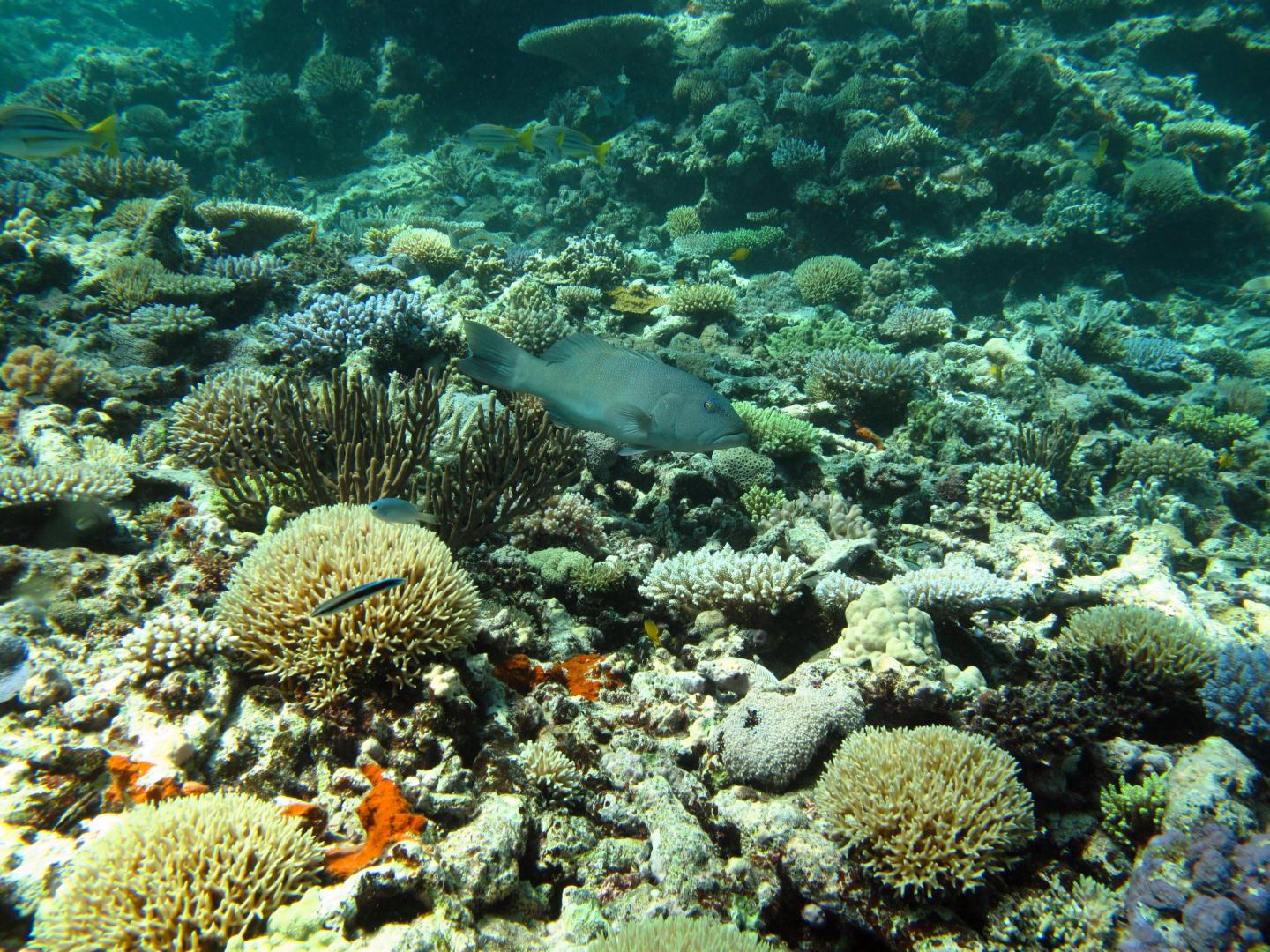
Twice the coral trout in Great Barrier Reef protected zones
Coral trout in protected 'green zones' are not only bigger and more abundant than those in fished 'blue zones' of the Great Barrier Reef Marine Park, but they are also better able to cope with cyclone damage, according to a long-term study published today in Current Biology. Coral trout biomass has more than doubled since the 1980s in the green zones with most of the growth occurring since the 2004 rezoning. These and other changes identified by the study show that the green zones are contributing to the health of the Great Barrier Reef and that similar approaches may be beneficial for coral reefs around the world.
The joint project between the Australian Institute of Marine Science and the ARC Centre of Excellence for Coral Reef Studies at James Cook University combined a vast amount of information from underwater surveys carried out from 1983-2012, on reefs spread across approximately 150,000 km2 (more than 40 per cent) of the Marine Park.
The Marine Park was rezoned in 2004, and marine reserves where fishing is prohibited (called 'green zones' because of their colour on the zoning maps of the Marine Park), were expanded to cover about one-third of the total Park area. These green zones previously made up less than five percent of the Park.
The study demonstrated that the Reef's network of green zones are yielding wide-scale population increases for coral trout, the primary target species of both the commercial and recreational sectors of the hook-line fishery. It also found that reefs in green zones supported higher numbers of large, reproductively-mature coral trout, even after being damaged by cyclones--such as tropical cyclone Hamish, which hit the reef in 2009.
The findings provide compelling evidence that effective protection within green zone networks can play a critical role in conserving marine biodiversity and enhancing the sustainability of targeted fish populations.
The study received funding from the Australian Government's Marine and Tropical Sciences Research Facility (MTSRF) and the National Environmental Research Program (NERP), the Australian Research Council (ARC), the CRC Reef Research Centre, and the Australian Institute of Marine Science.
"It's heartening to know the green zones are working as we had expected," said lead author Michael Emslie from AIMS. "Among the world's coral reefs, fishing on the Great Barrier Reef is relatively light but it has still reduced the number and average size of the few fish species that are taken by fishers. Data since the 1980s show that green zones have been effective in restoring numbers of coral trout to their former levels."
David Williamson, a co-author from the ARC Centre of Excellence for Coral Reef Studies said "We expected to see some declines in coral trout biomass on reefs that remained open to fishing after the rezoning due to the increased concentration of fishing effort on those reefs, a so-called 'squeeze effect'. Instead we found that coral trout biomass remained stable on fished reefs in areas that avoided the impacts of Cyclone Hamish, while it increased significantly on green zone reefs. Ultimately it has led to an overall increase in coral trout biomass across those regions. It's a really positive result for both the fish and the fishery."
The study suggests that the original Marine Park zoning plan that was put in place in the 1980s began to improve fish stocks, but that the expanded protection in 2004 greatly improved on this. Hugh Sweatman, also of AIMS and co-author of the paper, said "Australia's Great Barrier Reef Marine Park is looked upon as a benchmark for large-scale reserve networks around the world. Unlike many places where coral reefs are found, Australia is a developed country where fishing is fairly light and well regulated. Yet even here we see clear effects of fishing -- the benefits of no-take reserves would be much more obvious where large coastal populations depend on reefs for their daily food, so fishing is more intense and everything is taken.
The details of our findings suggest that effectively protected networks of no-take reserves will help reef fishes cope with some present and future stresses, and assist in maintaining coral reef fish populations as we know them."
Source: Australian Institute of Marine Science
Other sources
- Twice the coral trout in Great Barrier Reef protected zonesfrom Science DailyThu, 26 Mar 2015, 18:00:28 UTC
- No-fishing scheme in Great Barrier Reef succeeds with valuable fishesfrom Sciencenews.orgThu, 26 Mar 2015, 16:40:05 UTC
- Twice the coral trout in Great Barrier Reef protected zonesfrom PhysorgThu, 26 Mar 2015, 16:02:05 UTC
- In girding for climate change, Great Barrier Reef plan falls shortfrom Science NOWMon, 23 Mar 2015, 18:20:05 UTC
- Great Barrier Reef campaign: scientists call for scrapping of coal projectsfrom The Guardian - ScienceSun, 22 Mar 2015, 20:30:32 UTC
- Australia unveils plan to secure Great Barrier Reef's futurefrom PhysorgSat, 21 Mar 2015, 11:30:25 UTC
